WATAMULA
Curaçao
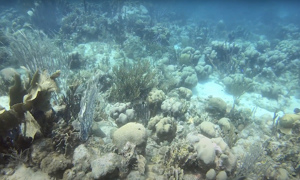
Watamula is de meest westelijke duikstek van het eiland, gelegen tussen Westpunt en Noordpunt. De naam Watamula is afgeleid van het Nederlandse woord Watermolen en niet zonder reden. Doordat hier drie stromingen samenkomen is het niet te voorspellen wat voor duik je gaat maken en hoe lang deze gaat duren. Watamula is ook een toeristische attractie. Vlakbij de instapplaats bevindt zich een groot rond gat in de grond, waar het zeewater via een ondergrondse tunnel, woest omhoog stuift.
Bijzonderheden
Ga bij Watamula te water samen met je gids of boek een charter. Je kunt in dat geval altijd weer opgepikt worden door de boot.
Waarschuwingen
Duik bij Watamula alleen onder rustige weersomstandigheden en altijd met een lokale gids. Er zijn verschillende manieren om deze duikstek te bezoeken, waarbij iedere manier weer compleet anders is. Bij Watamula heb je kans op sterke stroming en wisselingen in de stroming. Ga niet te water door in het gat te springen, dit is levensgevaarlijk.
Kenmerken WATAMULA
- Bijnamen
- Watamula Reef
- Adres
- Curaçao
- Parkeren
- Bij charter
- Afstand
- 10 min.
- Geschikt voor
- Ervaren duikers met gids
- Vergunning
- N.v.t. / NA
- Toegang
- Vrij toegang
- Faciliteiten
- Geen
- Watersoort
- Zout
- Duiksoort
- Kantduik, bootduik
- Stroming
- Sterk
- Zicht
- 20 - 30 m.
- Zicht gemiddeld
- 25 m.
- Diepte
- 20 m.
- Bodem
- koraal
- Leven
- Krab, tandbaars, tandbaars, kreeft, murene, schildpad
- Overige recreatie
- Pleziervaart
- Nood
- 912
ABONNEER JE NU!
Voordelen abonnement
- Jaarlijks seizoensadvies
- Updates van alle toplocaties
- Elk jaar nieuw ontdekte stekken
- Online abonnee content
- Groot duikkaarten archief
- Online wrakanimaties
- Automatische getijdenplanner
- Lagere kosten
Groot Online Duikkaartenarchief, 3D Wrakanimaties, Getijdenplanner, elk jaar de Duikersgids en meer. ABONNEER JE HIER
ABONNEER JE NU!
Voordelen abonnement
- Jaarlijks seizoensadvies
- Updates van alle toplocaties
- Elk jaar nieuw ontdekte stekken
- Online abonnee content
- Groot duikkaarten archief
- Online wrakanimaties
- Automatische getijdenplanner
- Lagere kosten
Huidige weerscondities
Stekken in de buurt
Playa gipy (0,24km)
Watamula zuid (1,09km)
Elvins plane wreck (1,42km)
North point (1,56km)
Alice in wonderland (1,65km)
Playa piscado (2,33km)
Playa forti (2,67km)
Korta pe (3,22km)
Playa abou (grote knip) (4,37km)
Cave of love (5,01km)
Kenepa (kleine knip) (5,45km)







