WIJTHMENERPLAS
Nederland, Overijssel
De Wythmernerplas, door sommingen ook wel Wijthemerplas genoemd, is een duikspot met wisselend zicht, voldoende onderwaterleven en diverse objecten. Je vindt er een landrover, een suzuki, een bootje en een oefenplatform. Prachtig met invallend zonlicht zijn de in het water hangende bomen aan de zuidoost- en westoever.
Bijzonderheden
De Wijthmenerplas is makkelijk toegankelijk. De instap bij de boothelling maakt het te water gaan erg eenvoudig. Kijk bij de wrakjes of andere objecten om leven te spotten. Ergens in de Wijthmenerplas ligt in de bodem het skelet van een mammoet.
Waarschuwingen
De Wijthmenerplas heeft een gladde steiger bij meest zuidoostelijke instap. Parkeren is in het laagseizoen gratis en ook in het hoogseizoen, na 16:30 uur. Duiken onder de waterskibaan verboden. Verlaat bij een nachtduik het terrein voor 22.00 uur, anders kom je niet meer van de parkeerplaats af.
Duikkaarten WIJTHMENERPLAS 1
- Duikersgidskaart
- Detailkaart
- Wrakkaart
- Streekkaart
Verspreiding is strafbaar
Kenmerken WIJTHMENERPLAS
- Bijnamen
- Wijthemerplas, Wythmenerplas, Wythemerplas
- Adres
- Zalnéweg 75, 8026 PZ, Zwolle
- Parkeren
- Voldoende parkeergelegenheid, betaald parkeren
- Afstand
- 15 m.
- Geschikt voor
- Beginnende duikers, gevorderde duikers, mindervaliden (schuin aflopende helling bij instap), nachtduiken
- Vergunning
- N.v.t. / NA
- Toegang
- Vrij toegang
- Faciliteiten
- Ehbo-post, omkleedruimte, openbare douches, patatkraam (alleen in hoogseizoen), toiletten (wc-papier meenemen)
- Watersoort
- Zoet
- Duiksoort
- Kantduik
- Stroming
- Geen
- Zicht
- 3 - 6 m.
- Zicht gemiddeld
- 3 m.
- Diepte
- 18 m.
- Bodem
- zand en sediment
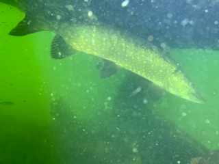
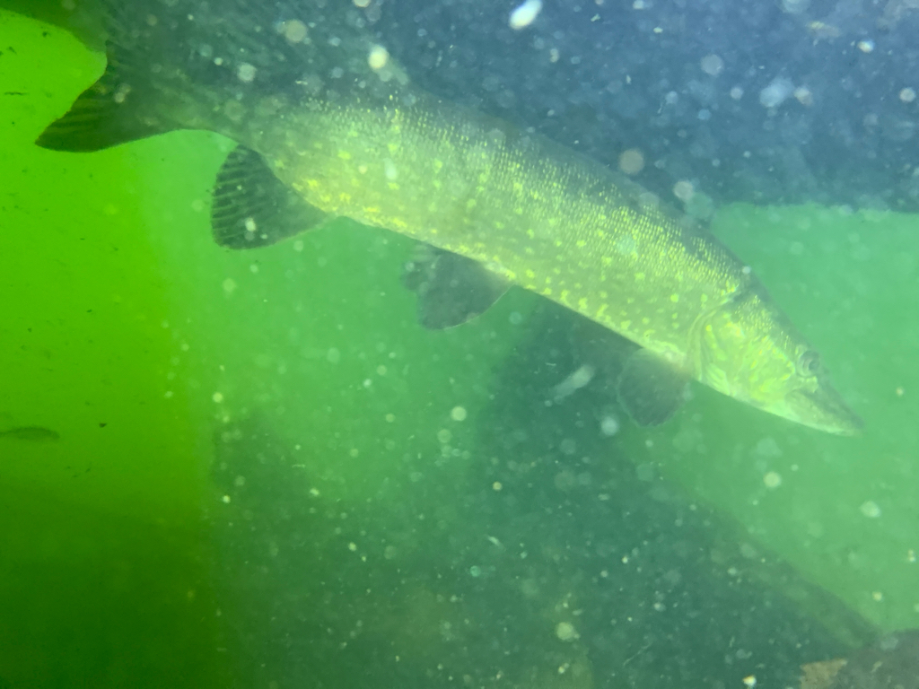
- Leven
- Bittervoorn, blankvoorn, kreeft, paling, snoek, snoekbaars
- Overige recreatie
- Camping, dagrecreatie, watersporten, strandrecreatie
- Nood
- 112
ABONNEER JE NU!
Voordelen abonnement
- Jaarlijks seizoensadvies
- Updates van alle toplocaties
- Elk jaar nieuw ontdekte stekken
- Online abonnee content
- Groot duikkaarten archief
- Online wrakanimaties
- Automatische getijdenplanner
- Lagere kosten
Groot Online Duikkaartenarchief, 3D Wrakanimaties, Getijdenplanner, elk jaar de Duikersgids en meer. ABONNEER JE HIER
ABONNEER JE NU!
Voordelen abonnement
- Jaarlijks seizoensadvies
- Updates van alle toplocaties
- Elk jaar nieuw ontdekte stekken
- Online abonnee content
- Groot duikkaarten archief
- Online wrakanimaties
- Automatische getijdenplanner
- Lagere kosten
Huidige weerscondities
Stekken in de buurt
Wijde aa (6,01km)
De markte (6,31km)
Westerveldse kolk (6,93km)
Milligerplas zuid (8,30km)
Milligerplas oost (8,33km)
Milligerplas west (8,62km)
De hank (11,73km)
Varkensgat (15,37km)
Grote gat zwartsluis (17,49km)
Berenburgerplas (18,57km)






















