SHARK POINT
Indonesië
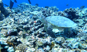
Shark Point is een populaire duiklocatie bij de Gili-eilanden. Dit is een tropische eilandengroep ten noordwesten van het Indonesische eiland, Lombok. Shark Point heeft een fraai onderwaterlandschap en een grote biodiversiteit aan soorten. Je maakt hier de mooiste driftduiken. De vlakke zandbodem gaat langzaam over in een koraalplateau, gevolgd door een reeks steeds dieper wordende ravijnen, met hier en daar prachtig begroeide pilaren. Shark Point staat vooral bekend om zijn grote populatie rifhaaien. Je komt verschillende soorten tegen zoals wit- en zwartpunt rifhaaien. Het onderwaterleven van Shark Point bestaat verder uit onder meer schildpadden en bultkoppapegaaivissen.
Bijzonderheden
Shark Point bereik je per boot. De duikstek ligt aan de noordwestoever van het eilandje Gili Trawangan. Gili Trawangan is het grootste en meest toeristische eiland van de drie Gili-eilanden, westelijk van Lombok.
Waarschuwingen
Bij Shark Point kan soms een sterke stroming staan. Advanced aangeraden.
Duikkaarten SHARK POINT 1
- Duikersgidskaart
- Detailkaart
- Wrakkaart
- Streekkaart
Verspreiding is strafbaar
Kenmerken SHARK POINT
- Bijnamen
- Shark Point Gili-Trawangan
- Adres
- Gili Trawangan, Lombok
- Parkeren
- Bij bootcharter
- Afstand
- 30 min.
- Geschikt voor
- Advanced aangeraden, driftduiken, onderwaterfotografie
- Vergunning
- N.v.t / NA
- Toegang
- Boek een bootduik bij een van de duikscholen die hier actief is, vrij toegang
- Faciliteiten
- Bootduik faciliteiten
- Watersoort
- Zout
- Getijde
- n.v.t.
- Duiksoort
- Bootduik
- Stroming
- Soms sterk
- Zicht
- 15 - 20 m.
- Zicht gemiddeld
- 20 m.
- Diepte
- 35 m.
- Bodem
- grillige zandbodem
- Leven
- Anemoonvis, schorpioenvis, hengelaarsvis, schildpad, rifhaai, octopus, papegaaivis
- Overige recreatie
- Pleziervaart
ABONNEER JE NU!
Voordelen abonnement
- Jaarlijks seizoensadvies
- Updates van alle toplocaties
- Elk jaar nieuw ontdekte stekken
- Online abonnee content
- Groot duikkaarten archief
- Online wrakanimaties
- Automatische getijdenplanner
- Lagere kosten
Groot Online Duikkaartenarchief, 3D Wrakanimaties, Getijdenplanner, elk jaar de Duikersgids en meer. ABONNEER JE HIER
ABONNEER JE NU!
Voordelen abonnement
- Jaarlijks seizoensadvies
- Updates van alle toplocaties
- Elk jaar nieuw ontdekte stekken
- Online abonnee content
- Groot duikkaarten archief
- Online wrakanimaties
- Automatische getijdenplanner
- Lagere kosten
Huidige weerscondities
Stekken in de buurt
Shark point zuid (0,01km)
Meno slope (2,58km)
Bounty wreck (2,87km)
Japanese wreck (35,91km)
Jemeluk wall (40,09km)
Pyramids (41,03km)













