MENO SLOPE
Indonesië
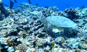
Meno Slope is een fraaie duikplaats en de vaste thuisbasis van een overvloed aan soorten. Je komt hier van alles tegen, van schaaldieren zoals kreeften en krabben tot garnalen, inktvissen, schildpadden, spaanse danseressen, trekkervissen, rifbaarzen en nog veel meer. Meno Slope is ook een geweldige nacht duikspot. De stek kenmerkt zich door een aflopende wand die van 5 tot 16 meter de diepte inloopt. Daarna volgt een tweede muur die nog verder doorloopt.
Bijzonderheden
Meno Slope is alleen bereikbaar met de boot. De duikstek ligt net buiten de westkant van het eilandje, Gili Meno. Gili Meno is een van de drie Gili-eilanden, westelijk van Lombok.
Waarschuwingen
Bij Meno Slope kan het soms hard stromen.
Duikkaarten MENO SLOPE 1
- Duikersgidskaart
- Detailkaart
- Wrakkaart
- Streekkaart
Verspreiding is strafbaar
Kenmerken MENO SLOPE
- Bijnamen
- Secret Garden
- Adres
- Gili Meno, Lombok
- Parkeren
- Bij bootcharter
- Afstand
- 30 min.
- Geschikt voor
- Advanced aangeraden, nachtduiken
- Vergunning
- N.v.t. / NA
- Toegang
- Boek een bootduik bij een van de duikscholen die hier actief is, vrij toegang
- Faciliteiten
- Bootduik faciliteiten
- Watersoort
- Zout
- Getijde
- n.v.t.
- Duiksoort
- Bootduik
- Stroming
- Gemiddeld
- Zicht
- 15 - 30 m.
- Zicht gemiddeld
- 20 m.
- Diepte
- 32 m.
- Bodem
- zand
- Leven
- Blauw gevlekte pijlstaartrog, (oceanic)witpunt- en rifhaaien, hengelaarsvis en schildpad
- Overige recreatie
- Pleziervaart
ABONNEER JE NU!
Voordelen abonnement
- Jaarlijks seizoensadvies
- Updates van alle toplocaties
- Elk jaar nieuw ontdekte stekken
- Online abonnee content
- Groot duikkaarten archief
- Online wrakanimaties
- Automatische getijdenplanner
- Lagere kosten
Groot Online Duikkaartenarchief, 3D Wrakanimaties, Getijdenplanner, elk jaar de Duikersgids en meer. ABONNEER JE HIER
ABONNEER JE NU!
Voordelen abonnement
- Jaarlijks seizoensadvies
- Updates van alle toplocaties
- Elk jaar nieuw ontdekte stekken
- Online abonnee content
- Groot duikkaarten archief
- Online wrakanimaties
- Automatische getijdenplanner
- Lagere kosten
Huidige weerscondities
Stekken in de buurt
Bounty wreck (0,58km)
Shark point zuid (2,58km)
Shark point (2,58km)
Japanese wreck (38,46km)











