PUERTO MORRO JABLE
Spanje
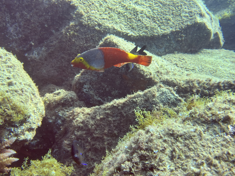
Puerto Morro Jable op Fuerteventura in Spanje wordt ook wel El Muelle of Reef of Morro Jable genoemd. Je duikt hier net buiten de haven van Puerto Morro Jable langs een zeewering van basaltblokken. Tussen de basaltblokken en op de zandvlakte daarnaast spot je tal van levensvormen. De meest opvallende bewoners van Puerto Morro Jable zijn adelaarsroggen, engelhaaien en murenen. Verder zie je zeenaalden, zeesterren en tal van andere soorten.
Bijzonderheden
Het duikgebied van Puerto Morro Jable ligt net buiten de haven van Morro Jable. De stek is het best bereikbaar per boot. Veel duikers gebruiken een RIB om deze locatie te bereiken. Er wordt ook gedoken van het strand en vanaf de havenpier.
Waarschuwingen
Je duikt bij Puerto Morro Jable in de nabijheid van een haven.
Kenmerken PUERTO MORRO JABLE
- Bijnamen
- El Muelle, Reef of Morro Jable
- Adres
- C. Atlántico, Morro Jable
- Parkeren
- Beperkte parkeergelegenheid
- Afstand
- 10 min.
- Geschikt voor
- Alle niveaus (beginners onder begeleiding)
- Vergunning
- N.v.t. / NA
- Toegang
- Boek een bootduik bij een van de duikscholen die hier actief is
- Faciliteiten
- Bootduikfaciliteiten
- Watersoort
- Zout
- Getijde
- n.v.t.
- Duiksoort
- Bootduik, kantduik
- Stroming
- Beperkt
- Zicht
- 15 - 25 m
- Zicht gemiddeld
- 20 m.
- Diepte
- 14 m.
- Bodem
- zand
- Leven
- Adelaarsrog, engelhaai, murene, zeenaald, glasvis, amberjack, tandbaars, zeester, trompetvis, rode zeebrasem
- Overige recreatie
- Pleziervaart
ABONNEER JE NU!
Voordelen abonnement
- Seizoensadvies beste duikspots
- Elk jaar nieuw ontdekte duikstekken
- Toegang premium content
- Periodiek nieuwe updates
- Honderden actuele duikkaarten
- Getijdenplanner Oosterschelde
- Wrakanimaties
- Korting en extra's bij hops en horeca
Groot Online Duikkaartenarchief, 3D Wrakanimaties, Getijdenplanner, elk jaar de Duikersgids en meer. ABONNEER JE HIER
ABONNEER JE NU!
Voordelen abonnement
- Seizoensadvies beste duikspots
- Elk jaar nieuw ontdekte duikstekken
- Toegang premium content
- Periodiek nieuwe updates
- Honderden actuele duikkaarten
- Getijdenplanner Oosterschelde
- Wrakanimaties
- Korting en extra's bij hops en horeca
Huidige weerscondities
Stekken in de buurt
Punto chucho (1,91km)
Veril chico (2,89km)
Veril grande (3,08km)
La lajita (24,24km)











