KO BIDA NOK
Thailand
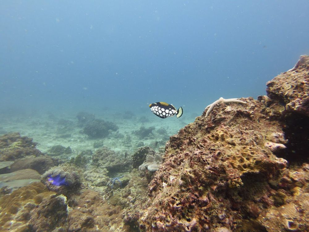
Ko Bida Nok is een fraaie duikstek op de Phi Phi Eilanden. De baai is afgebakend met kleine gele boeien en maximaal 6 tot 12 meter diep. Rondom dit gebied zwemmen zwartpunt rifhaaien. Als je still blijft hangen rond de 3 meter maak je grote kans om ze te zien. Verder kom je in Ko Bida Nok allerlei klein en groot leven tegen, van enorme scholen gele snappers tot roggen, schildpadden, sepia's, zeeslangen en nog veel meer. De grote attractie van Ko Bida Nok blijft toch de zwartpunt rifhaai.
Bijzonderheden
Ko Bida Nok is een klein eilandje ten zuiden van de Phi Phi eilanden. Je bereikt deze locatie in een half met de boot vanaf de haven van het hoofdeiland, Ton Sai Beach.
Waarschuwingen
Ko Bida Nok is geschikt voor alle niveaus maar pas op, buiten de baai kan het flink stromen.
Kenmerken KO BIDA NOK
- Bijnamen
- Shark Point, Shark Bay
- Adres
- Ko Bida Nok, Phi Phi Islands, Thailand
- Parkeren
- Bij bootcharter
- Afstand
- 30 min.
- Geschikt voor
- Alle niveaus (beginners onder begeleiding)
- Vergunning
- N.v.t. / NA
- Toegang
- Boek een bootduik bij een van de duikscholen die hier actief is, vrij toegang
- Faciliteiten
- Bootduik faciliteiten
- Watersoort
- Zout, warm
- Duiksoort
- Bootduik
- Stroming
- Gemiddeld
- Zicht
- 5 - 10 m.
- Zicht gemiddeld
- 10 m.
- Diepte
- 12 m.
- Bodem
- zand en rotsen
- Leven
- Zwarttiprifhaai
- Overige recreatie
- Pleziervaart
ABONNEER JE NU!
Voordelen abonnement
- Jaarlijks seizoensadvies
- Updates van alle toplocaties
- Elk jaar nieuw ontdekte stekken
- Online abonnee content
- Groot duikkaarten archief
- Online wrakanimaties
- Automatische getijdenplanner
- Lagere kosten
Groot Online Duikkaartenarchief, 3D Wrakanimaties, Getijdenplanner, elk jaar de Duikersgids en meer. ABONNEER JE HIER
ABONNEER JE NU!
Voordelen abonnement
- Jaarlijks seizoensadvies
- Updates van alle toplocaties
- Elk jaar nieuw ontdekte stekken
- Online abonnee content
- Groot duikkaarten archief
- Online wrakanimaties
- Automatische getijdenplanner
- Lagere kosten






