DE KUILEN MILL
Nederland, Noord Brabant
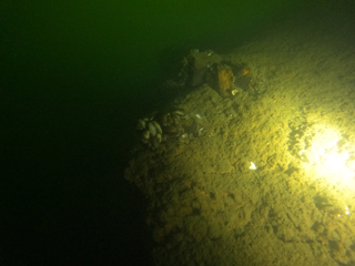
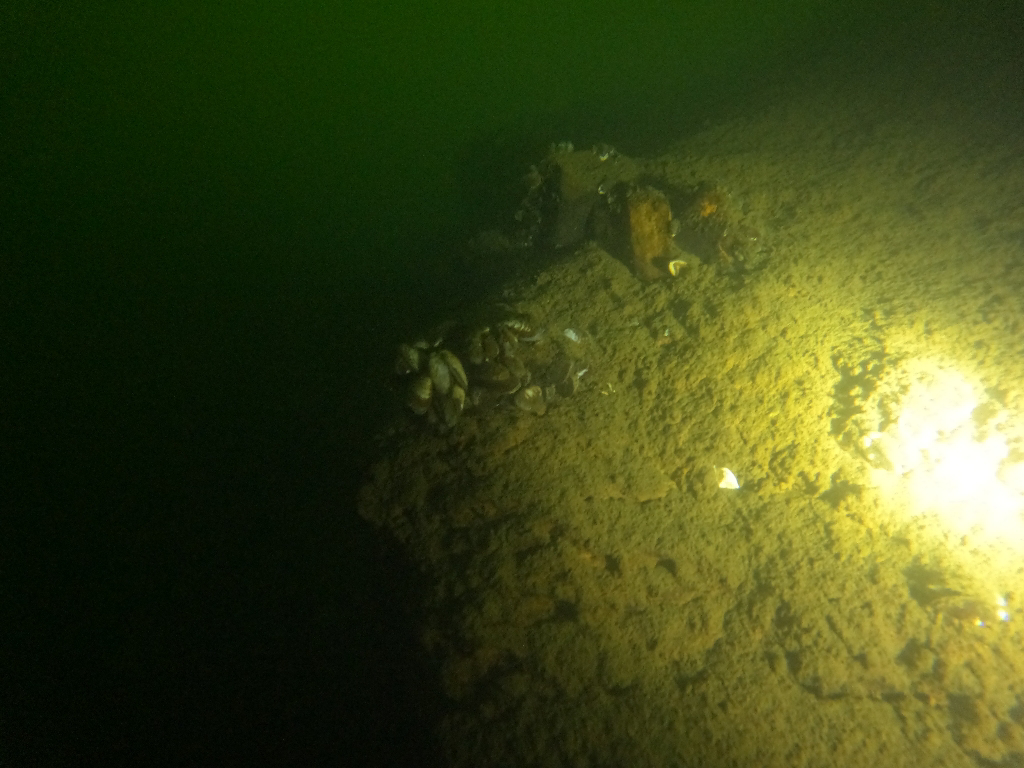
Mill is recreatieplas met wisselvallig zicht. Het is een fascinerende stek vanwege de huizenhoge wanden en metersdiepe kraters. Met goed zicht zul je hier een van de mooiste duiken maken in deze regio. Bijzonder in deze duikplaats zijn ook de historische bodemlagen die je in de zuidoosthoek van de plas tegenkomt. Een fossiele zeebodem strekt zich hier op verschillende diepten over de bodem uit. De laag is tussen de 8 en 50 centimeter hoog en bevat oeroude schelpen en fossielen van haaien, walvissen en potvissen. Voorzichtigheid is echter geboden. De wanden zijn instabiel en kunnen gedeeltelijk instorten als je in de bodem graaft.
Bijzonderheden
Je gaat bij De Kuilen, Mill te water vanaf het strand. Zwem 50 meter uit om op diepte te komen en houd dan een koers van 90 graden aan. De plantenrijke bodem gaat over in een sedimentlaag, gevolgd door een imposant veengebied vol canyons, blokken en kloven. Zoek in de grillige wanden naar fossiele overblijfselen uit de oertijd. De prehistorische laag is herkenbaar aan de overvloed van driehoeksmosselen, kleine schelpjes en kokerwormpjes.
Waarschuwingen
Pas bij Mill op voor surfers, gebruik eventueel een boei. Pas op voor instabiele wanden, zeker als je in de bodem gaat graven! Verboden voor gemotoriseerde voertuigen.
Duikkaarten DE KUILEN MILL 1
- Duikersgidskaart
- Detailkaart
- Wrakkaart
- Streekkaart
Verspreiding is strafbaar
Kenmerken DE KUILEN MILL
- Bijnamen
- De Kuilen, Mill, Botjesgat, Langenboom
- Adres
- Fazantenweg, Langenboom, Mill
- Parkeren
- Voldoende parkeergelegenheid
- Afstand
- 50 m.
- Geschikt voor
- Alle niveaus
- Vergunning
- N.v.t. / NA
- Toegang
- Vrij toegang
- Faciliteiten
- Geen
- Watersoort
- Zoet
- Duiksoort
- Kantduik
- Stroming
- Geen
- Zicht
- 0, 1 - 5 m.
- Zicht gemiddeld
- 2 m.
- Diepte
- 35 m.
- Bodem
- zand en klei
- Leven
- Karper, snoek, snoekbaars, voorn, baars
- Overige recreatie
- Geen
- Nood
- 112
ABONNEER JE NU!
Voordelen abonnement
- Jaarlijks seizoensadvies
- Updates van alle toplocaties
- Elk jaar nieuw ontdekte stekken
- Online abonnee content
- Groot duikkaarten archief
- Online wrakanimaties
- Automatische getijdenplanner
- Lagere kosten
Groot Online Duikkaartenarchief, 3D Wrakanimaties, Getijdenplanner, elk jaar de Duikersgids en meer. ABONNEER JE HIER
ABONNEER JE NU!
Voordelen abonnement
- Jaarlijks seizoensadvies
- Updates van alle toplocaties
- Elk jaar nieuw ontdekte stekken
- Online abonnee content
- Groot duikkaarten archief
- Online wrakanimaties
- Automatische getijdenplanner
- Lagere kosten
Huidige weerscondities
Stekken in de buurt
Het wierenbos (6,40km)
Kraaijenbergse plas 7 (6,60km)
De kiekuut (6,63km)
Kraaijenbergse plas 4 (7,54km)
Kraaijenbergse kleibergen (7,58km)
Witte brug overzijde (7,66km)
Kraaijenbergse plas 8 (7,75km)
Kraaijenbergse plas 9 (9,14km)
Vormerse plas (12,05km)
Berendonck aquavilla (12,42km)






















































